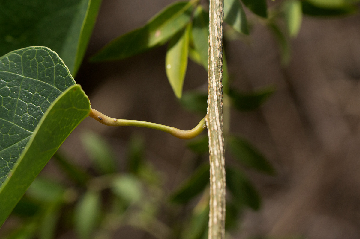
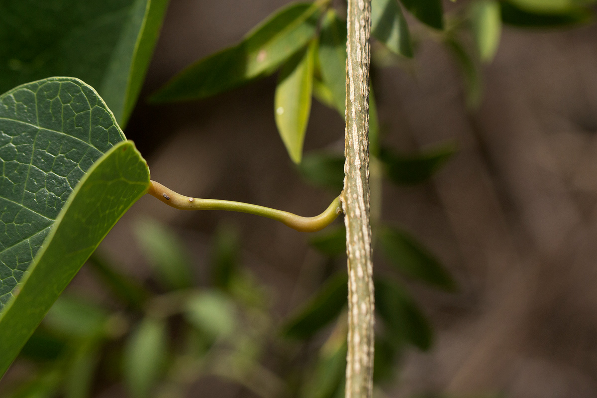
Tinospora afra (Miers) Troupin

Image: Previous image | Next image | Back to the species page

Tinospora afra

Image details:

Species id: 123720
Image id:26
Image number:30286
Photographer: BT Wursten
Code 1 if image of a herbarium specimen:0
Herbarium in which image taken:
Code 1 if image not to be displayed:0
Image notes:

Record details:

Record id:94939
Date: 31 Jan 2018
Recorder(s):BT Wursten
P Ballings
Collector(s):
Determiner(s):BT Wursten
Confirmer(s):
Herbarium:
Habitat: Roadside margin of woodland
Location: B8 to Ngoma
Location code(s):
Outing code: 51
Planted code: Not planted
Country: Namibia (Caprivi Strip)
Quarter Degree Square: 1724D1
Grid reference:
FZ divisions:
Altitude (metres): 933
Notes: Climber with long bunches of grape-like fruit, Leaves not very cordate with long petioles.
Latitude, Longitude: -17.747530, 24.557070
Location accuracy code: 7

Copyright: Mark Hyde, Bart Wursten, Petra Ballings and Meg Coates Palgrave, 2014-26

Hyde, M.A., Wursten, B.T., Ballings, P. & Coates Palgrave, M. (2026). Flora of Malawi: Species information: individual images: Tinospora afra.
https://www.malawiflora.com/speciesdata/image-display.php?species_id=123720&image_id=26, retrieved 18 February 2026

Site software last modified: 24 June 2025 5:18pm (GMT +2)
Terms of use