
| Species id: | 122530 |
| Image id: | 3 |
| Image number: | 21637 |
| Photographer: | BT Wursten |
| Code 1 if image of a herbarium specimen: | 0 |
| Herbarium in which image taken: | |
| Code 1 if image not to be displayed: | 0 |
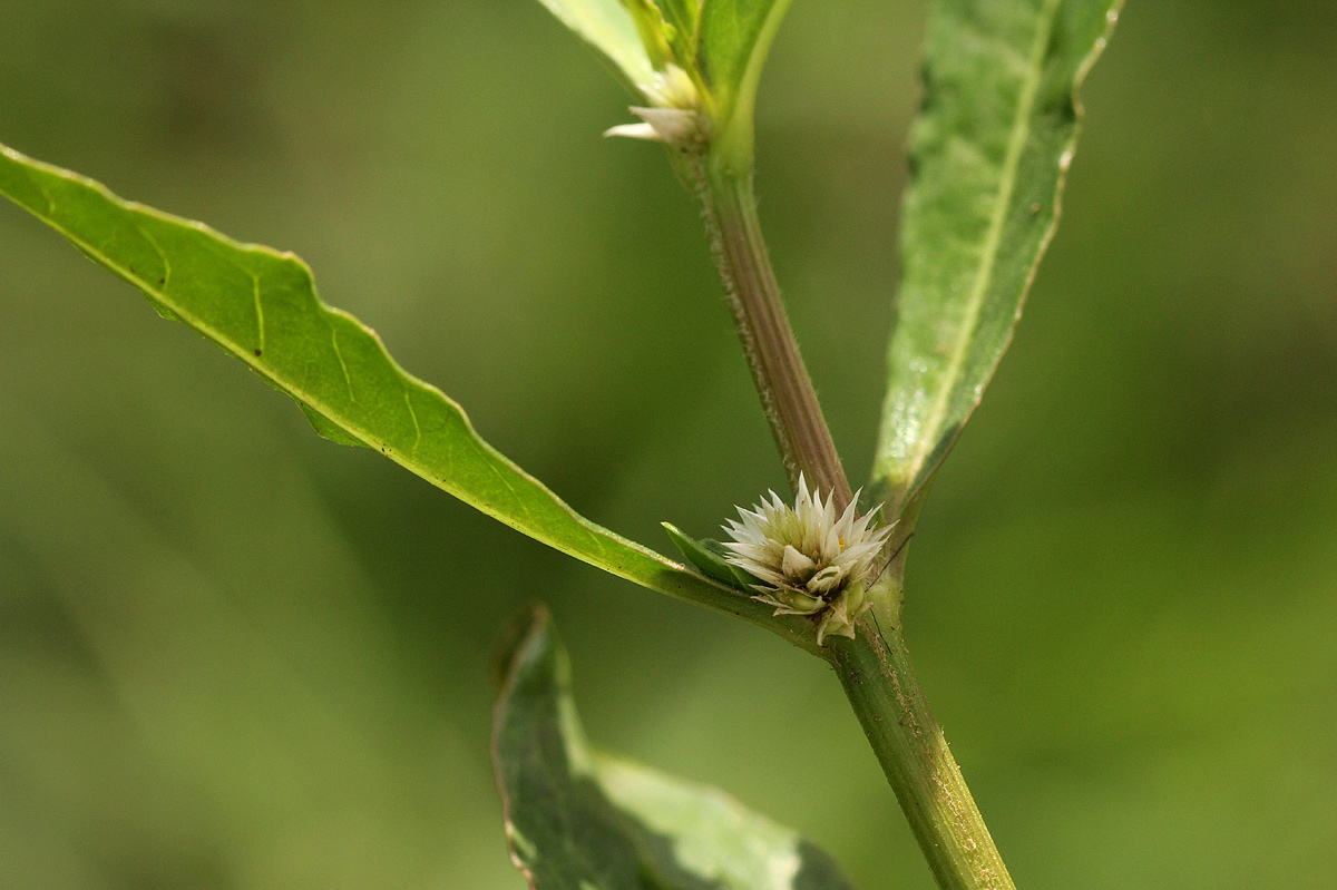
| Image notes: | Fruit much shorter than perianth lobes. |
| Record id: | 66591 |
| Date: | 12 Jan 2015 |
| Recorder(s): | BT Wursten P Ballings |
| Collector(s): | |
| Determiner(s): | BT Wursten |
| Confirmer(s): | |
| Herbarium: | |
| Habitat: | On streambank. |
| Location: | Stream crossing on road from Chipinda Pools to Chlojo Cliffs, Gonarezhou National Park. |
| Location code(s): | 160 |
| Outing code: | |
| Planted code: | Not planted |
| Country: | Zimbabwe |
| Quarter Degree Square: | 2131B4 |
| Grid reference: | |
| FZ divisions: | S |
| Altitude (metres): | 257 |
| Notes: | Fruit much shorter than perianth lobes. |
| Latitude, Longitude: | -21.327916, 31.969705 |
| Location accuracy code: | 7 |