
| Species id: | 136460 |
| Image id: | 6 |
| Image number: | 15001 |
| Photographer: | BT Wursten |
| Code 1 if image of a herbarium specimen: | 0 |
| Herbarium in which image taken: | |
| Code 1 if image not to be displayed: | 0 |
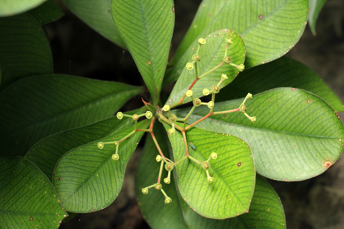
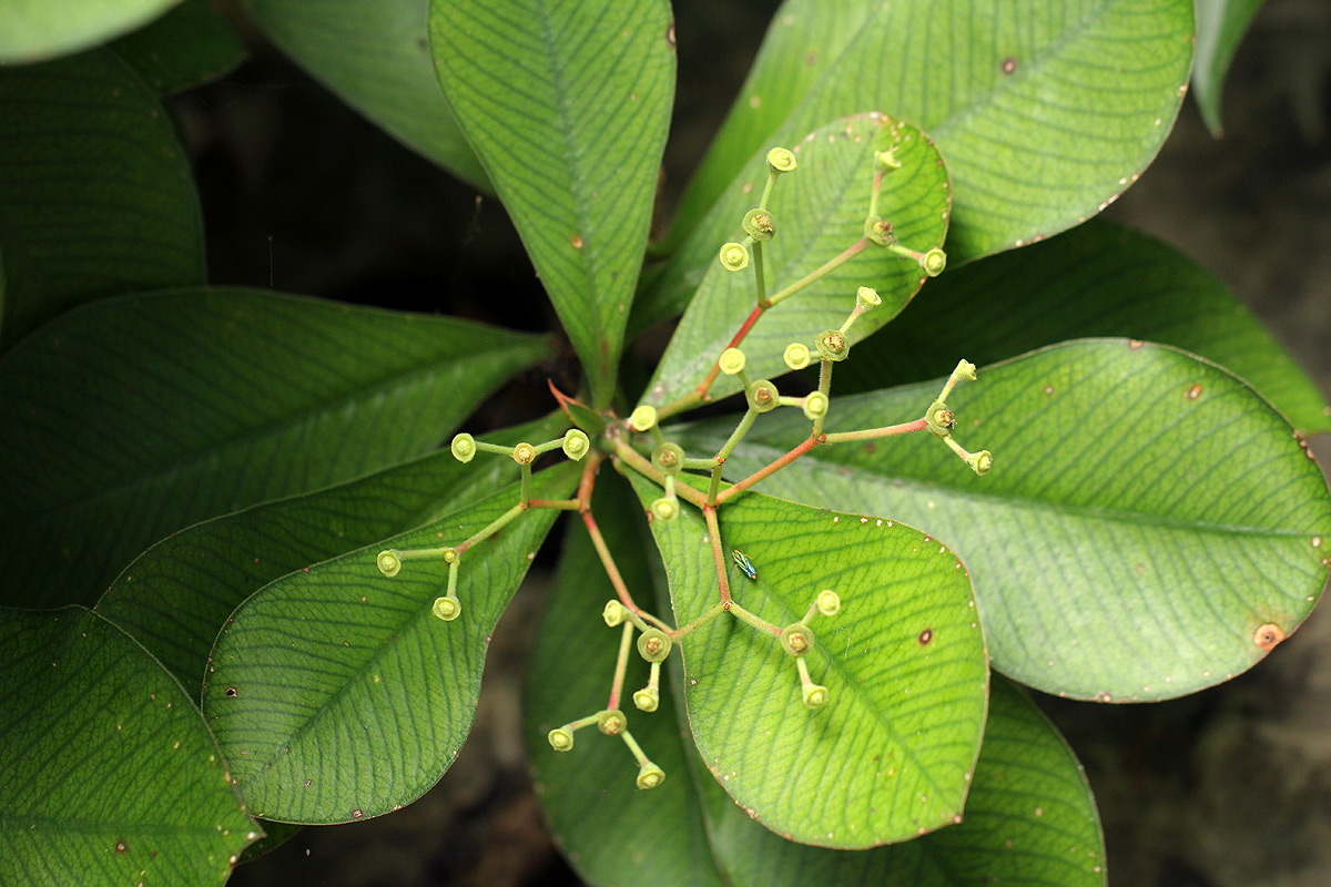
| Image notes: | Leaves obovate; obtuse at the apex; tapering into a subsessile base; leaves and inflorescence pubescent; Involucre rim entire. |
| Record id: | 51581 |
| Date: | 24 Apr 2013 |
| Recorder(s): | BT Wursten LP Oliveira |
| Collector(s): | BT Wursten A Short LP Oliveira BW554 |
| Determiner(s): | BT Wursten |
| Confirmer(s): | |
| Herbarium: | |
| Habitat: | By river in crevices of limestone rock. |
| Location: | Archway Gorge, Mweredzi River, Gorongosa National Park |
| Location code(s): | 14 |
| Outing code: | 38 |
| Planted code: | Not planted |
| Country: | Mozambique |
| Quarter Degree Square: | 1834D3 |
| Grid reference: | |
| FZ divisions: | MS |
| Altitude (metres): | 61 |
| Notes: | Leaves obovate; obtuse at the apex; tapering into a subsessile base; leaves and inflorescence pubescent; Involucre rim entire. |
| Latitude, Longitude: | -18.954700, 34.612970 |
| Location accuracy code: | 7 |