Details of record no: 58168

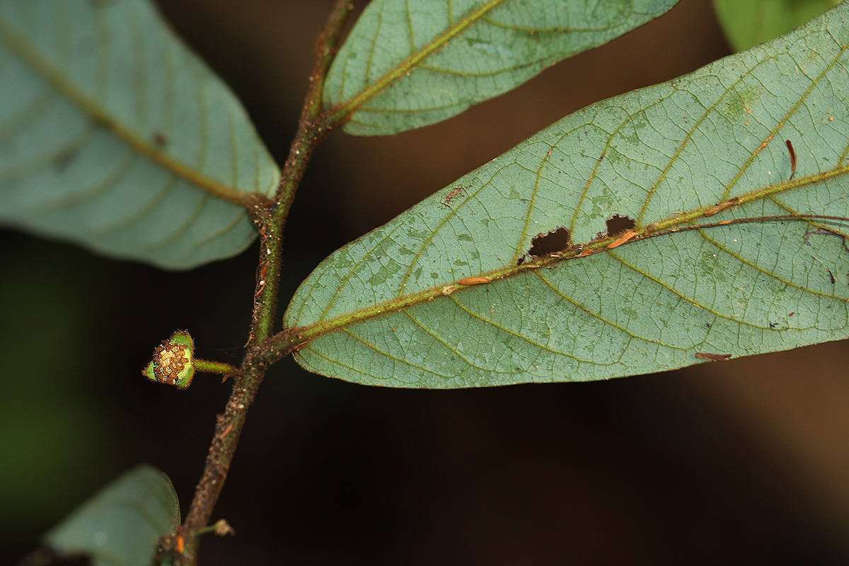
Monanthotaxis chasei (N. Robson) Verdc.

Three blocks of information are displayed on this page, namely: (a) details of the record; (b) the record point plotted using Google Maps and (c) any images attached to the record. Please scroll down to see the various items.

Record details:

Date: 25 Oct 2013
Recorder(s):BT Wursten
S Dondeyne
K Dekoninck
Collector(s):BT Wursten
BW836
Determiner(s):BT Wursten
Confirmer(s):
Herbarium:BR
Habitat: Well preserved Newtonia forest
Location: Research plot 3, Zomba Community
Location code(s):
Outing code: 31
Planted code: Not planted
Country: Mozambique
Quarter Degree Square: 1933C4
Grid reference:
FZ divisions: MS
Altitude (metres): 176
Notes: Common in understorey of forest and often as a liane BR specimen
Latitude, Longitude: -19.873980, 33.251760
Location Accuracy Code: 7

Map of species record

Images:

Image: 1

Monanthotaxis chasei

Species id:123830
Image id:1
Image number:16861
Photographer: BT Wursten
Code 1 if image of a herbarium specimen:0
Herbarium in which image taken:
Code 1 if image not to be displayed:1
Image notes:Common in understorey of forest and often as a liane

Copyright: Mark Hyde, Bart Wursten, Petra Ballings and Meg Coates Palgrave, 2014-25

Hyde, M.A., Wursten, B.T., Ballings, P. & Coates Palgrave, M. (2025). Flora of Malawi: Individual record no: 58168: Monanthotaxis chasei.
https://www.malawiflora.com/speciesdata/species-record.php?record_id=58168, retrieved 19 December 2025

Site software last modified: 18 October 2025 12:29pm (GMT +2)
Terms of use