Details of record no: 66171

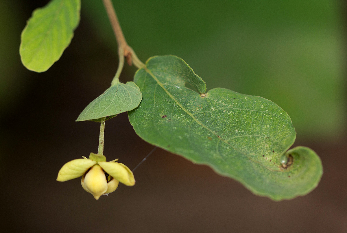
Friesodielsia obovata (Benth.) Verdc.

Three blocks of information are displayed on this page, namely: (a) details of the record; (b) the record point plotted using Google Maps and (c) any images attached to the record. Please scroll down to see the various items.

Record details:

Date: 23 Apr 2015
Recorder(s):BT Wursten
T Castigo
Collector(s):BT Wursten
BW1225
Determiner(s):BT Wursten
Confirmer(s):
Herbarium:BR
TCT-CatapĂș
EOWBL
Habitat: Riverine fringe vegetation
Location: Streambank at base of Mt Bunga, northwestern Gorongosa National Park.
Location code(s): 14
Outing code: 36
Planted code: Not planted
Country: Mozambique
Quarter Degree Square: 1834C2
Grid reference:
FZ divisions: MS
Altitude (metres): 67
Notes:
Latitude, Longitude:
Location Accuracy Code: 7

Map of species record

Records not available for display

Images:

Image: 13

Friesodielsia obovata

Species id:123810
Image id:13
Image number:21321
Photographer: BT Wursten
Code 1 if image of a herbarium specimen:0
Herbarium in which image taken:
Code 1 if image not to be displayed:0
Image notes:

Image: 14

Friesodielsia obovata

Species id:123810
Image id:14
Image number:21322
Photographer: BT Wursten
Code 1 if image of a herbarium specimen:0
Herbarium in which image taken:
Code 1 if image not to be displayed:0
Image notes:

Image: 15

Friesodielsia obovata

Species id:123810
Image id:15
Image number:21323
Photographer: BT Wursten
Code 1 if image of a herbarium specimen:0
Herbarium in which image taken:
Code 1 if image not to be displayed:0
Image notes:

Copyright: Mark Hyde, Bart Wursten, Petra Ballings and Meg Coates Palgrave, 2014-25

Hyde, M.A., Wursten, B.T., Ballings, P. & Coates Palgrave, M. (2025). Flora of Malawi: Individual record no: 66171: Friesodielsia obovata.
https://www.malawiflora.com/speciesdata/species-record.php?record_id=66171, retrieved 22 December 2025

Site software last modified: 18 October 2025 12:29pm (GMT +2)
Terms of use