Details of record no: 80125

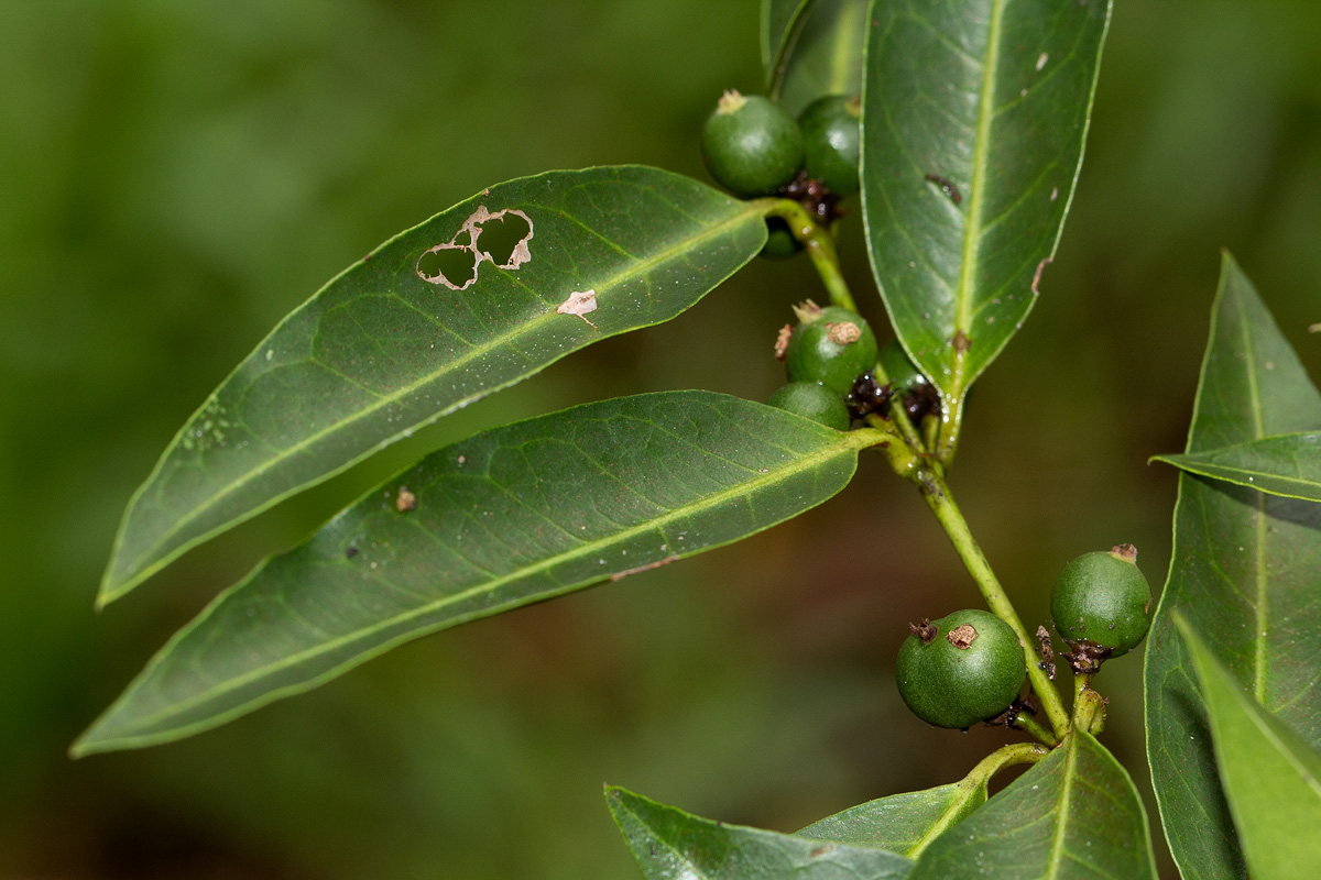
Polysphaeria lanceolata Hiern
subsp. lanceolata
var. lanceolata

Three blocks of information are displayed on this page, namely: (a) details of the record; (b) the record point plotted using Google Maps and (c) any images attached to the record. Please scroll down to see the various items.

Record details:

Date: 9 Apr 2016
Recorder(s):BT Wursten
T Castigo
Collector(s):BT Wursten
BW1515
Determiner(s):BT Wursten
Confirmer(s):
Herbarium:BR
TCT-CatapĂș
EOWBL
Habitat: Somewhat disturbed margin of forest
Location: Nhago Camp, Coutada 12
Location code(s): 184
Outing code: 42
Planted code: Not planted
Country: Mozambique
Quarter Degree Square: 1835C2
Grid reference:
FZ divisions: MS
Altitude (metres): 74
Notes: Same as BW1516; in fruit.
Latitude, Longitude: -18.660690, 35.455640
Location Accuracy Code: 7

Map of species record

Images:

Image: 12

Polysphaeria lanceolata subsp. lanceolata var. lanceolata

Species id:155660
Image id:12
Image number:27722
Photographer: BT Wursten
Code 1 if image of a herbarium specimen:0
Herbarium in which image taken:
Code 1 if image not to be displayed:1
Image notes:

Copyright: Mark Hyde, Bart Wursten, Petra Ballings and Meg Coates Palgrave, 2014-26

Hyde, M.A., Wursten, B.T., Ballings, P. & Coates Palgrave, M. (2026). Flora of Malawi: Individual record no: 80125: Polysphaeria lanceolata.
https://www.malawiflora.com/speciesdata/species-record.php?record_id=80125, retrieved 18 February 2026

Site software last modified: 18 October 2025 12:29pm (GMT +2)
Terms of use