
| Species id: | 135490 |
| Image id: | 10 |
| Image number: | 20137 |
| Photographer: | BT Wursten |
| Code 1 if image of a herbarium specimen: | 0 |
| Herbarium in which image taken: | |
| Code 1 if image not to be displayed: | 1 |
| Image notes: |
| Record id: | 63088 |
| Date: | 6 Jan 2015 |
| Recorder(s): | BT Wursten P Ballings T Mutombeni |
| Collector(s): | |
| Determiner(s): | BT Wursten |
| Confirmer(s): | |
| Herbarium: | |
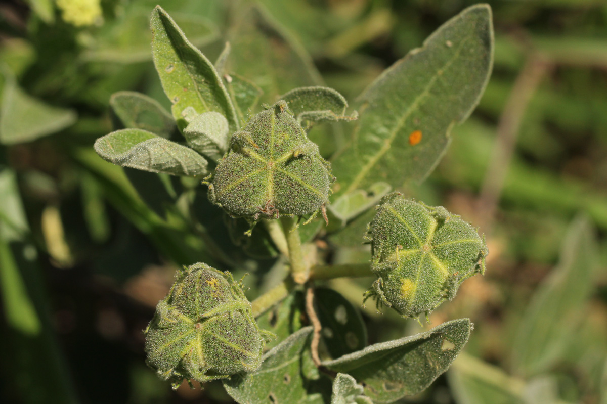
| Habitat: | Roadside open deciduous woodland |
| Location: | Along Mahenye rd |
| Location code(s): | |
| Outing code: | |
| Planted code: | Not planted |
| Country: | Zimbabwe |
| Quarter Degree Square: | 2132A2 |
| Grid reference: | |
| FZ divisions: | E |
| Altitude (metres): | 372 |
| Notes: | |
| Latitude, Longitude: | -21.000000, 32.300777 |
| Location accuracy code: | 7 |