
| Species id: | 147390 |
| Image id: | 6 |
| Image number: | 34133 |
| Photographer: | BT Wursten |
| Code 1 if image of a herbarium specimen: | 0 |
| Herbarium in which image taken: | |
| Code 1 if image not to be displayed: | 0 |
| Image notes: |
| Record id: | 101272 |
| Date: | 7 Dec 2018 |
| Recorder(s): | BT Wursten IAI Nuvunga GB Chindere AA Amade CF Nhancale AF Wilssone |
| Collector(s): | |
| Determiner(s): | BT Wursten |
| Confirmer(s): | |
| Herbarium: | |
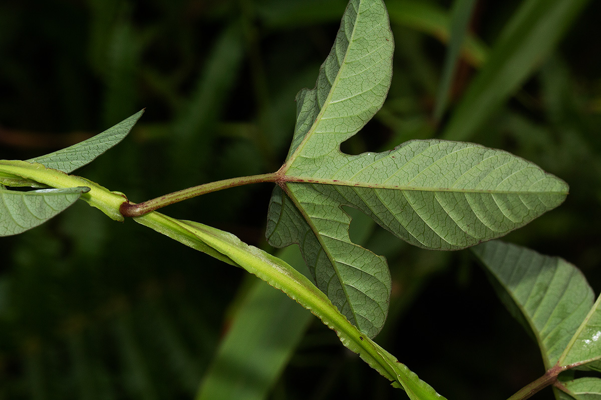
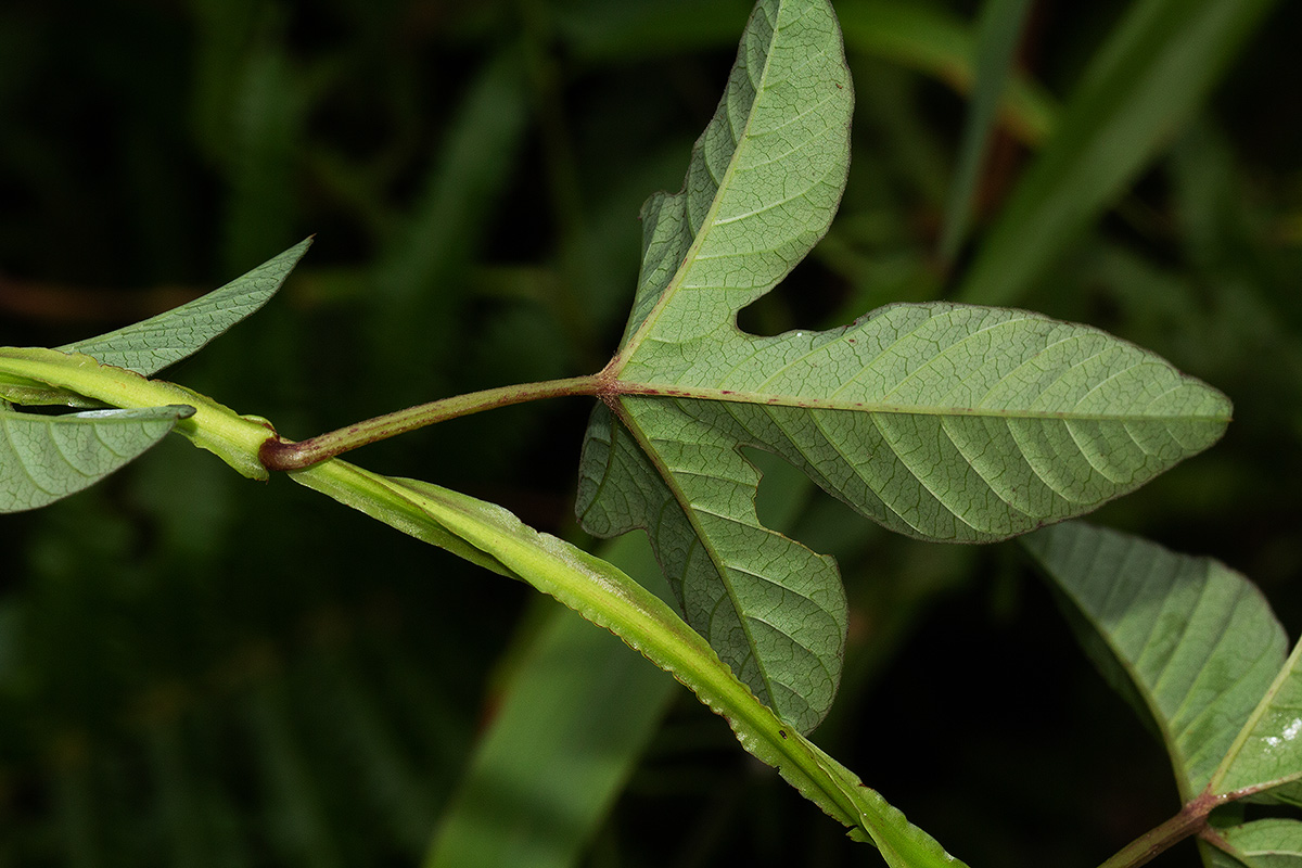
| Habitat: | Open grassy marsh |
| Location: | Tava Marsh, Moribane Forest |
| Location code(s): | 84 |
| Outing code: | 56 |
| Planted code: | Not planted |
| Country: | Mozambique |
| Quarter Degree Square: | 1933C2 |
| Grid reference: | |
| FZ divisions: | MS |
| Altitude (metres): | 503 |
| Notes: | |
| Latitude, Longitude: | -19.745760, 33.320290 |
| Location accuracy code: | 7 |