Details of record no: 101761

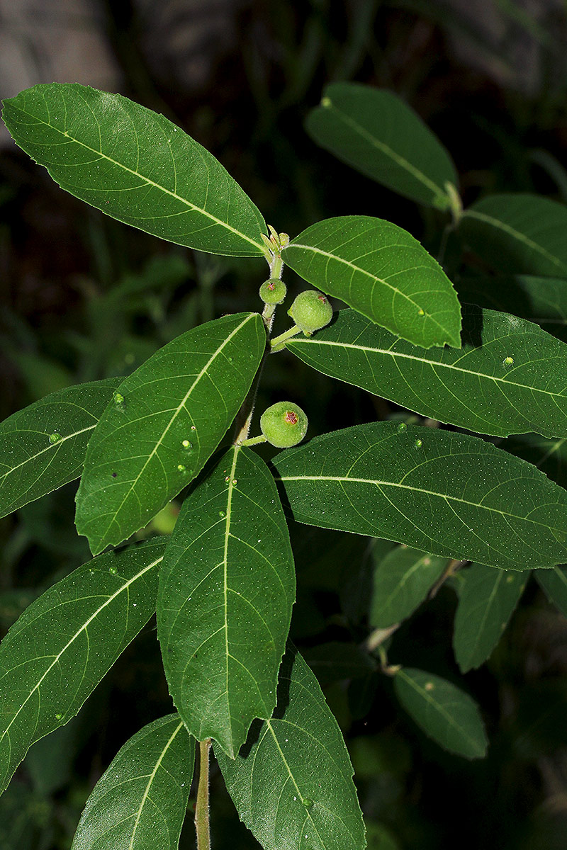
Ficus capreifolia Delile

Three blocks of information are displayed on this page, namely: (a) details of the record; (b) the record point plotted using Google Maps and (c) any images attached to the record. Please scroll down to see the various items.

Record details:

Date: 19 Jan 2016
Recorder(s):BT Wursten
P Ballings
J Laing
Collector(s):
Determiner(s):BT Wursten
Confirmer(s):
Herbarium:
Habitat: On a sandy island in river.
Location: Zambezi River ar Zambezi Sands River Camp, Zambezi National Park.
Location code(s): 176
Outing code:
Planted code: Not planted
Country: Zimbabwe
Quarter Degree Square: 1725D3
Grid reference:
FZ divisions: W
Altitude (metres): 909
Notes:
Latitude, Longitude:
Location Accuracy Code: 7

Map of species record

Records not available for display

Images:

Image: 14

Ficus capreifolia

Species id:120240
Image id:14
Image number:34495
Photographer: BT Wursten
Code 1 if image of a herbarium specimen:0
Herbarium in which image taken:
Code 1 if image not to be displayed:0
Image notes:

Image: 15

Ficus capreifolia

Species id:120240
Image id:15
Image number:34496
Photographer: BT Wursten
Code 1 if image of a herbarium specimen:0
Herbarium in which image taken:
Code 1 if image not to be displayed:0
Image notes:

Image: 16

Ficus capreifolia

Species id:120240
Image id:16
Image number:34497
Photographer: BT Wursten
Code 1 if image of a herbarium specimen:0
Herbarium in which image taken:
Code 1 if image not to be displayed:0
Image notes:

Image: 17

Ficus capreifolia

Species id:120240
Image id:17
Image number:34498
Photographer: BT Wursten
Code 1 if image of a herbarium specimen:0
Herbarium in which image taken:
Code 1 if image not to be displayed:0
Image notes:

Copyright: Mark Hyde, Bart Wursten, Petra Ballings and Meg Coates Palgrave, 2014-26

Hyde, M.A., Wursten, B.T., Ballings, P. & Coates Palgrave, M. (2026). Flora of Malawi: Individual record no: 101761: Ficus capreifolia.
https://www.malawiflora.com/speciesdata/species-record.php?record_id=101761, retrieved 18 February 2026

Site software last modified: 18 October 2025 12:29pm (GMT +2)
Terms of use