Details of record no: 21926

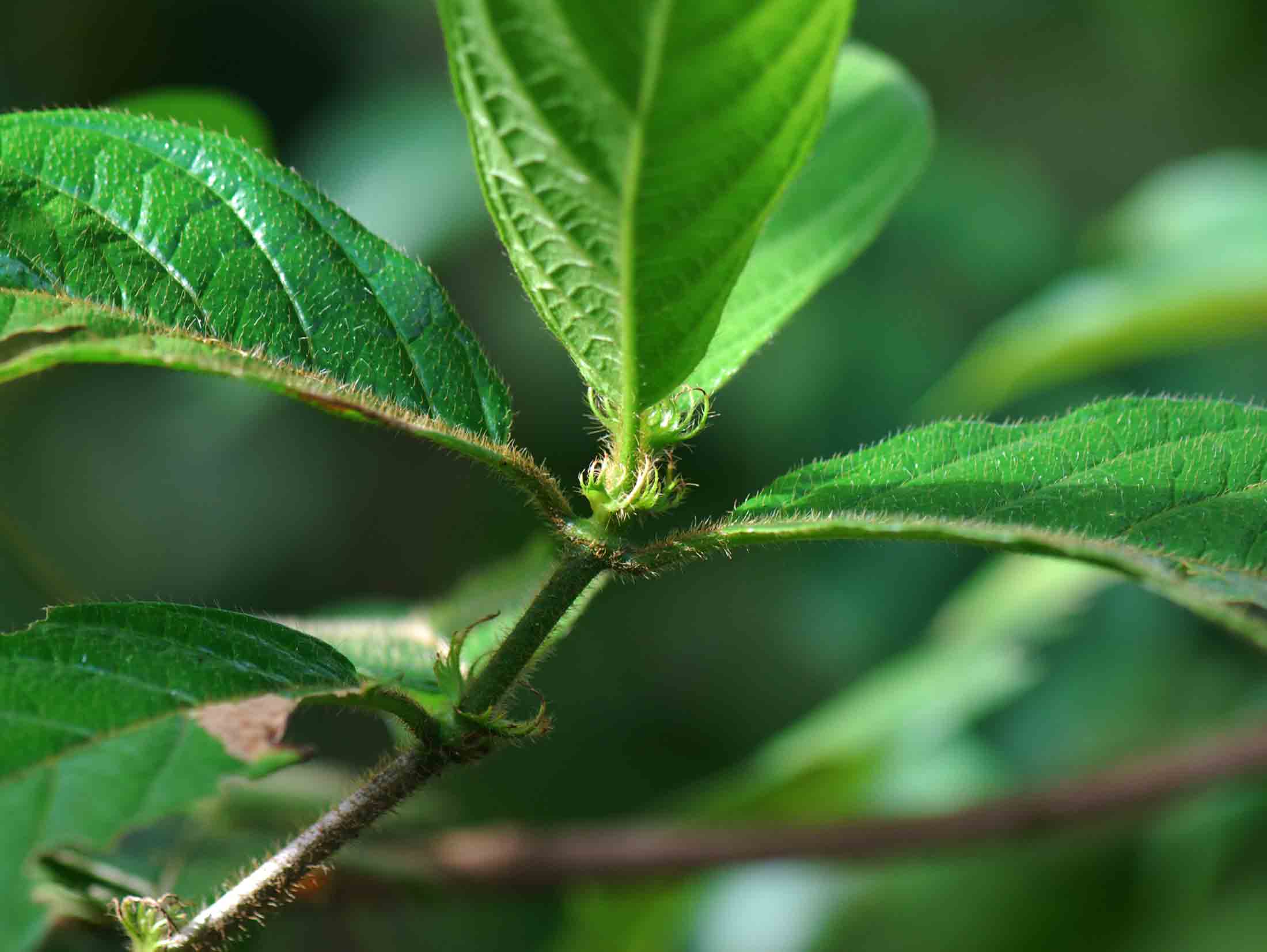
Rutidea orientalis Bridson

Three blocks of information are displayed on this page, namely: (a) details of the record; (b) the record point plotted using Google Maps and (c) any images attached to the record. Please scroll down to see the various items.

Record details:

Date: 24 Apr 2008
Recorder(s):BT Wursten
A Gardiner
Collector(s):BT Wursten
BW167
Determiner(s):BT Wursten
Confirmer(s):
Herbarium:BR
Habitat: riverine forest
Location: Muqueche River Bridge, Mt Namuli.
Location code(s): 86
Outing code:
Planted code: Not planted
Country: Mozambique
Quarter Degree Square: 1537A3
Grid reference:
FZ divisions: Z
Altitude (metres): 1280
Notes:
Latitude, Longitude: -15.387747, 37.073178
Location Accuracy Code: 7

Map of species record

Images:

Image: 1

Rutidea orientalis

Species id:156400
Image id:1
Image number:5174
Photographer: BT Wursten
Code 1 if image of a herbarium specimen:0
Herbarium in which image taken:
Code 1 if image not to be displayed:0
Image notes:

Image: 2

Rutidea orientalis

Species id:156400
Image id:2
Image number:5175
Photographer: BT Wursten
Code 1 if image of a herbarium specimen:0
Herbarium in which image taken:
Code 1 if image not to be displayed:0
Image notes:

Copyright: Mark Hyde, Bart Wursten, Petra Ballings and Meg Coates Palgrave, 2014-26

Hyde, M.A., Wursten, B.T., Ballings, P. & Coates Palgrave, M. (2026). Flora of Malawi: Individual record no: 21926: Rutidea orientalis.
https://www.malawiflora.com/speciesdata/species-record.php?record_id=21926, retrieved 18 February 2026

Site software last modified: 18 October 2025 12:29pm (GMT +2)
Terms of use